Borrar

Publicidad

Esta funcionalidad es exclusiva para registrados.

Reporta un error en esta noticia

* Campos obligatorios

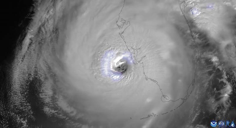
canarias7 El huracán 'Ian' sacude Florida